আবহাওয়া দফতর সম্পর্কিত খবর | Weather Office News Updates in Bengali

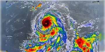
Cyclone Dana Update | জন্ম হলো 'দানা'র! গতিবেগ হবে ঘণ্টায় ১০০ থেকে ১১০ কিমি! বর্তমানে কোথায় অবস্থান করছে এই ঘূর্ণিঝড়?

Cyclone Dana | সাইক্লোন ‘দানা’র জেরে বাতিল ১৭৮টি ট্রেন! শনিবার পর্যন্ত একাধিক ট্রেন বাতিলের সিদ্ধান্ত

Cyclone Dana | বাংলায় ঘূর্ণিঝড় 'দানা'র চোখ রাঙানি, ৭ জেলায় টানা ৫ দিন ছুটি স্কুল

Cyclone Dana । ঘূর্ণিঝড় 'দানা' মোকাবিলায় প্রস্তুত নবান্ন, NDRFএর সহায়তায় একগুচ্ছ পদক্ষেপ নিলো রাজ্য সরকার

Cyclone Dana | ঘণ্টায় ১০০ থেকে ১১০ কিলোমিটার বেগে ল্যান্ডফল করবে 'ডানা'! তৈরী ১১টি জাতীয় বিপর্যয় মোকাবিলা বাহিনীর দল

Cyclone Update । বঙ্গোপসাগরের দিকে ধেয়ে আসছে সাইক্লোন 'ডানা', রাজ্যজুড়ে ভারী বৃষ্টির সম্ভাবনা

Tamil Nadu Floods | শীতের আগমনের আগে দক্ষিণ ভারতে দুর্যোগের আশঙ্কা, তামিলনাড়ুতে ফের বন্যা পরিস্থিতির সম্ভাবনা

Winter Update | চলতি বছর ৮ শতাংশ বেশি বৃষ্টি হয়েছে দেশে, ঠান্ডাও কি পড়বে জাকিয়ে? অক্টোবরের শেষ থেকেই কমবে তাপমাত্রা

WB Weather | বিকেল হতেই ফের আবহাওয়া বদল, ছ'টি জেলায় বজ্রবিদ্যুৎ সহ হালকা থেকে মাঝারি বৃষ্টির সতর্কতা

WB Weather | বৃষ্টির পূর্বাভাস থাকলেও হবে না ঝমঝমিয়ে, জানুন দুর্গাপুজোয় কেমন থাকবে আবহাওয়া?

Hurricane Kirk । হাওয়ার সর্বোচ্চ গতিবেগ হতে পারে ঘণ্টায় ১৯৫ কিমি! ক্রমশ শক্তিশালী হচ্ছে ক্যাটেগরি ৩ এর 'হারিকেন কির্ক'

WB Weather | মহালয়ায় বৃষ্টির পূর্বাভাস! মঙ্গলবার কলকাতা লাগোয়া দুটি জেলা সহ রাজ্যের ৭টি জেলায় হলুদ সতর্কতা

Rainfall | ২০২০ সালের পর প্রথমবার রেকর্ড বৃষ্টিপাত! উত্তর ভারতে চলতি মরশুমে ১১ বছরে সবচেয়ে বেশি বৃষ্টির রেকর্ড

Durga Puja Weather | মহালয়াতে বৃষ্টির পূর্বাভাস, পুজোর সপ্তাহেও স্বাভাবিকের থেকে বেশি বৃষ্টি হবে পশ্চিমবঙ্গের সব জেলাতে

WB Weather | বঙ্গোপসাগরে অবস্থান নিম্নচাপের, বৃহস্পতিবার পর্যন্ত দক্ষিণবঙ্গের একাধিক জেলায় বৃষ্টিপাতের সম্ভাবনা

Weather WB | অতি গভীর নিম্নচাপের জেরে ৭ জেলায় ভারী বৃষ্টির পূর্বাভাস, কলকাতা সহ কয়েক জেলায় ৩৫ কিমি বেগে উঠবে ঝড়

Heavy Rain | টাইফুন ইয়াগির অবশিষ্টাংশ শক্তি বাড়িয়ে পরিণত হয়েছে নিম্নচাপে, সপ্তাহ জুড়ে ভারী বৃষ্টির পূর্বাভাস

Weather WB | বঙ্গোপসাগরে তৈরি নিম্নচাপ, বৃহস্পতিবার পর্যন্ত দক্ষিণবঙ্গের সমস্ত জেলাতেই হালকা থেকে মাঝারি বৃষ্টিপাতের সম্ভাবনা

WB Weather Update | জোড়া ঘূর্ণাবর্ত ও সক্রিয় মৌসুমী অক্ষরেখার প্রভাবে সপ্তাহজুড়ে বৃষ্টিতে ভিজবে গোটা পশ্চিমবঙ্গ

Himachal Pradesh and Uttarakhand । মেঘভাঙা বৃষ্টি উত্তরাখন্ড ও হিমাচলপ্রদেশে! আটকে অন্তত ২০০ পর্যটক, মৃত ১৪

Delhi Weather । জলমগ্ন দিল্লি! প্রবল বৃষ্টিতে বাড়ি ভেঙে মৃত্যু হয়েছে কমপক্ষে ১০ জনের

Kashmir Weather | কাশ্মীরে ২৫ বছরে উষ্ণতম দিন! শ্রীনগরে তাপমাত্রা ৪০ এর কাছাকাছি! গরমে বন্ধ করতে হলো স্কুল

Heat Stroke | ২০২৪ সালে গরমে প্রাণ ওষ্ঠাগত ভারতবাসীর! হিট স্ট্রোকে আক্রান্ত হয়েছেন প্রায় ৪০ হাজার! রিপোর্ট পেশ করলো রাষ্ট্রসংঘ

Maharashtra Rain | ভারী বৃষ্টিতে মহারাষ্ট্রে মৃত্যু ৭ জনের! লাল সতর্কতা জারি মুম্বই ও বাণিজ্যনগরী লাগোয়া এলাকায়

Pune Rain News | প্রবল বৃষ্টির জেরে বিপর্যস্ত জীবনযাত্রা! জলাবদ্ধ রাস্তায় হেঁটে যাওয়ার সময় বিদ্যুৎস্পৃষ্ট ৩ জন

Lightning । উত্তরপ্রদেশে বজ্রপাতে একদিনে মৃত্যু ৩৭ জনের! জারি বজ্রবিদ্যুৎ-সহ ভারী থেকে অতি ভারী বৃষ্টির সতর্কতা!

Kashmir Heatwave | হিটওয়েভের শিকার কাশ্মীর! কলকাতার থেকেও বেশি উষ্ণ শ্রীনগর! দেদার বিকোচ্ছে এসি-কুলার!

Weather West Bengal | ১২৪ বছরে দক্ষিণবঙ্গে তৃতীয় শুষ্কতম জুন! চিন্তার ভাঁজ চাষিদের কপালে!

North Bengal Weather | ফের বিপর্যয় উত্তরবঙ্গে! ধস নেমে অবরুদ্ধ ১০ নম্বর জাতীয় সড়ক! একাধিক রাস্তায় বিঘ্নিত হয়েছে যান চলাচল!






