logo image February 24, 2026 | 10:47 AM
বাংলা কীবোর্ড
saved bytes
dark mode
dark mode
Home
Saved Bytes
Contact Us
Bangla Keyboard
  • হ্যারিকেন
  • সাহিত্য
    • রবীন্দ্রনাথ ঠাকুর
    • জীবন ও জীবনী
  • বিনোদন
    • ফ্যাশন
    • টলিউড
    • হলিউড
    • দক্ষিণী সিনেমা
    • বলিউড
    • সেলিব্রিটি
  • রাজনৈতিক
    • মমতা ব্যানার্জী
    • নরেন্দ্র মোদি
    • কংগ্রেস
    • অরবিন্দ কেজরিওয়াল
    • বিজেপি
    • অমিত শাহ
    • দেশ
    • তৃণমূল কংগ্রেস
    • রাহুল গান্ধী
    • অভিষেক ব্যানার্জী
  • লাইফস্টাইল
    • স্বাস্থ্য
    • যোগাসন
    • পুজো ও উৎসব
    • খাদ্য
    • ভ্রমণ
  • বাণিজ্য
  • খেলাধুলা
    • ফুটবল
    • ক্রিকেট
    • আইএসএল
    • অন্য খেলা
  • রাজ্য
  • শহর কলকাতা
  • আবহাওয়া
  • বাংলাদেশ
  • অর্থনৈতিক
    • বাণিজ্য
  • আন্তর্জাতিক
  • দেশ
    • ক্রাইম
    • প্রতিরক্ষা
    • অর্থনীতি
    • ভারতীয় রেল
    • কেন্দ্রীয় প্রকল্প
  • রাশি ফল
  • সাফল্যের কাহিনী
  • অন্যান্য
    • বিজ্ঞান ও প্রযুক্তি
    • ভাইরাল
    • পেটপুজো

হ্যারিকেন সম্পর্কিত খবর | Hurricane News Updates in Bengali

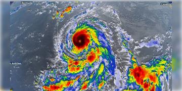
Read more about - Hurricane Kirk । হাওয়ার সর্বোচ্চ গতিবেগ হতে পারে ঘণ্টায় ১৯৫ কিমি! ক্রমশ শক্তিশালী হচ্ছে ক্যাটেগরি ৩ এর 'হারিকেন কির্ক'
আবহাওয়া3 Oct 2024

Hurricane Kirk । হাওয়ার সর্বোচ্চ গতিবেগ হতে পারে ঘণ্টায় ১৯৫ কিমি! ক্রমশ শক্তিশালী হচ্ছে ক্যাটেগরি ৩ এর 'হারিকেন কির্ক'

Read more about - WB Weather | কলকাতা-সহ দক্ষিণবঙ্গে বইতে পারে ৩০-৪০ কিমি বেগে ঝোড়ো হাওয়া! ভারত মহাসাগরে ফুঁসছে নয়া হ্যারিকেন!
আবহাওয়া19 May 2023

WB Weather | কলকাতা-সহ দক্ষিণবঙ্গে বইতে পারে ৩০-৪০ কিমি বেগে ঝোড়ো হাওয়া! ভারত মহাসাগরে ফুঁসছে নয়া হ্যারিকেন!

  • হোম
  • আমাদের সম্পর্কে জানুন
  • যোগাযোগ
  • Feed
  • Sitemap
  • ব্যবহারের শর্তাবলী

বেঙ্গল বাইট অ্যাপ ইনস্টল করুন

   google-play-store